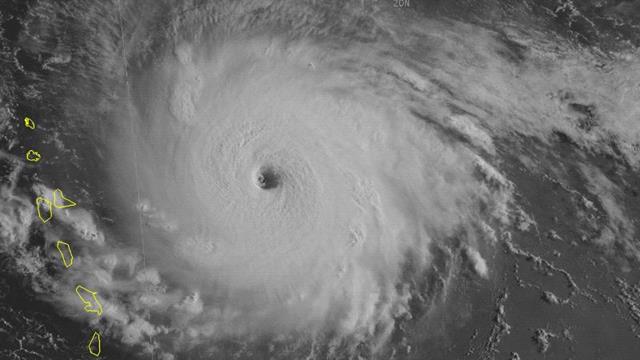
Guantánamo: – Hasta el venidero 30 de noviembre se extiende la Temporada Ciclónica, en la región de Océano Atlántico y el Mar Caribe. Es por ello que ante cualquier amenaza los cubanos permanecemos alertas a las orientaciones del máximo órgano que en el país, vela por el bienestar de sus ciudadanos.
En Cuba, ante la constante ocurrencia de este fenómeno meteorológico, se orientan y materializan las medidas necesarias para disminuir el impacto del fenómeno ambiental y sobre todo proteger la vida humana.
La atención en la situación hidrológica, la limpieza de zanjas y tragantes, la desobstrucción de arroyos y afluentes para evitar su crecida repentina, son algunas de las medidas que se llevan adelante en el territorio.
La familia guantanamera debe estar atenta a las informaciones e indicaciones de las autoridades y de los servicios; meteorológico, hidrológico y epidemiológico.
Ello permitirá que se aseguren los recursos y medios para la subsistencia durante el tiempo que perdure la situación: (depósitos para agua segura teniendo en cuenta la cantidad de personas que permanecerán en el mismo, alimentos ligeros, medios de comunicación, leña, velas, kerosene, faroles, fósforos y fosforeras, utensilios de cocina y para comer, tabletas de cloro o hipoclorito, botiquín de primeros auxilios, medicamentos para enfermedades metabólicas como la hipertensión, diabetes y otras).

{phocadownload view=file|id=5|target=s}
Artículos relacionados:
Guantánamo en alerta ante evolución del Huracán María
Guantánamo se prepara ante posible influencia de Huracán María (+ Video)

Licenciada en Periodismo. Graduada en la Universidad de Oriente en el 2010. Periodista, editora del sitio web y miembro del equipo multimedia de Solvisión.
